Isle of Man Planning Scheme (Development Plan) Order 1982
G C A Limited Carmodil Beg Studio Glen Road Ballaugh IM7 5JD
In pursuance of powers granted under the above Acts and Order the Department of Local Government and the Environment does hereby APPROVE the application made by you on behalf of: Mr J Collister
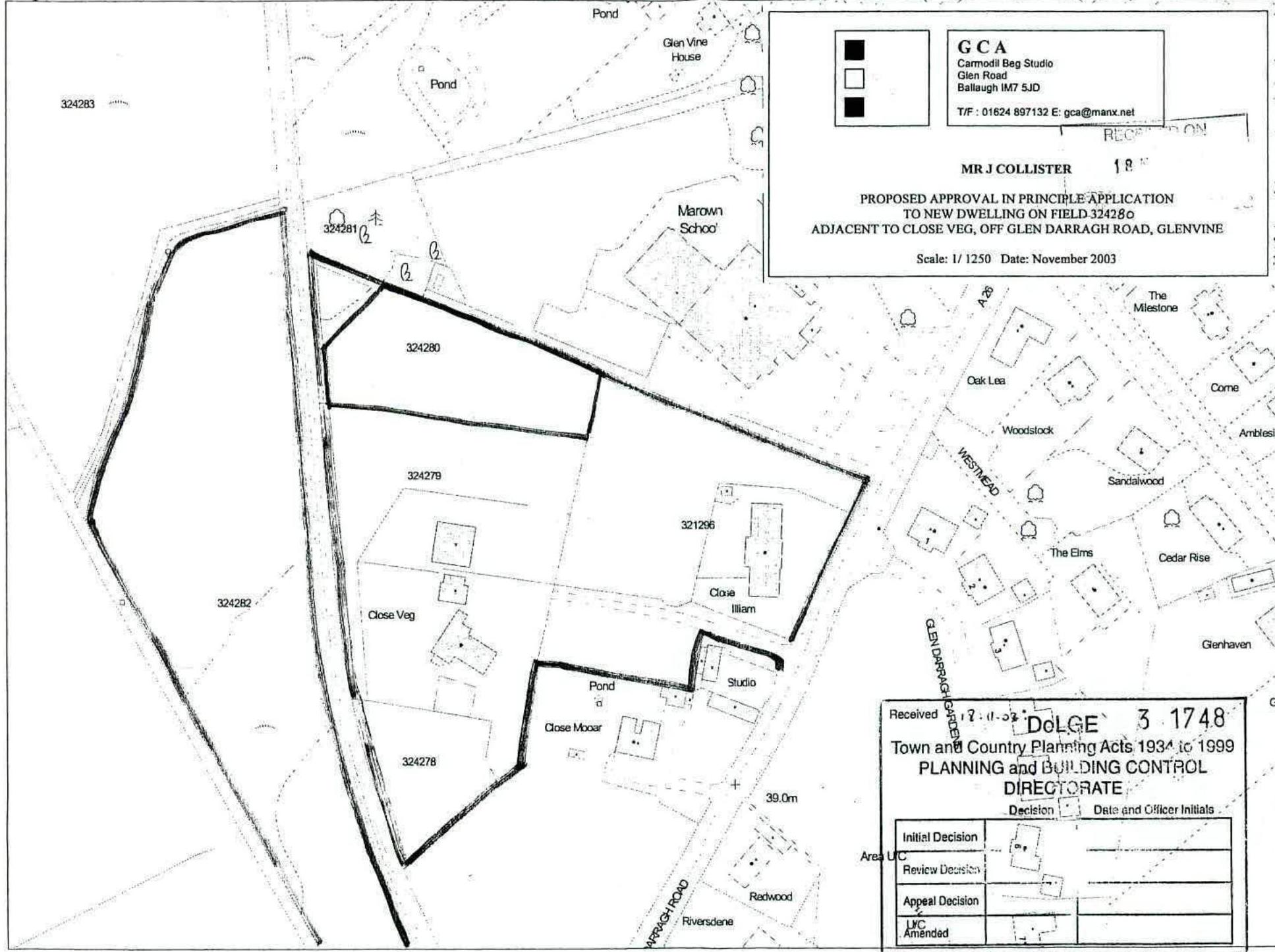
Proposal: at: Approval in principle for the erection of a dwelling on Field 324280 (County Series 1294), Adjacent To Close Veg, Glen Darragh Road Glen Vine Douglas
which was considered on 16 April 2004, subject to compliance with the conditions specified on the attached schedule.
Date of Issue: 4 May, 2004
Murray House Mount Havelock Douglas Isle of Man
Secretary Planning Committee
Note 1: This permission refers only to that required under the Town and Country Planning Acts and does not include any consent or approval under any other enactment, bylaw, order or regulation.
Note 2: No works may be commenced until such time as -
the time for requesting a review of the initial decision has expired; or
any review of the initial decision has been completed; or
the time for requesting an appeal in relation to the decision has expired; or
any appeal has been completed.
Note 3: Rights of the review of the decision are attached.
Schedule Of Conditions
Application Ref No: 03/01748/A
This approval is in principle only and will remain valid for a period of two years within which time no development may take place until such time as details of the reserved matters (siting, design, external appearance, internal layout, means of access, landscaping) have been approved by the Planning Authority. Such reserved matters should form the subject of a single application.
This approval relates to the amended site plan submitted on 17th March 2004.
This approval relates to the erection of a single storey dwelling only but may include accommodation in the roof space.
The reserved matters application must include a landscaping scheme which shows native planting around the perimeter of the site. The boundary between the site and field numbers 324280 and 324279 must be formed by sod banking.
All planting, seeding or turfing comprised in the approved details of landscaping must be carried out in the first planting and seeding seasons following the completion of the development or the occupation of the dwellings, whichever is the sooner. Any trees or plants which within a period of five years from the completion of the development die, are removed, or become seriously damaged or diseased must be replaced in the next planting season with others of a similar size and species.
The Development hereby approved shall not be commenced until such time as the new water treatment works supplying the eastern supply area has been commissioned, or an adequate potable water supply is available to site, to the satisfaction of the Planning Committee, in consultation with the Isle of Man Water Authority.
This decision was made by the Planning Committee constituted in accordance with Paragraph 2 of Schedule 1 of the Isle of Man Planning Scheme (Development Plan) Order 1982.
This is a black and white site plan showing the proposed location for a new dwelling on field 324280 adjacent to Close Veg.
Copyright in submitted documents remains with their authors. Request removal
Source & Provenance
Official reference
06/00635/A
Source authority
Isle of Man Government Planning & Building Control