Loading document...
Officer's Report and Recommendation

Base Map reproduced from Isle of Man Survey mapping. Licence Number GD000/97
C.IIS
© Crown Copyright. Department of Local Government and the Environment, Isle of Man.
Unauthorised reproduction Infringes Crown Copyright and may lead to prosecution or civil proceedings.
Produced using Uniform 7.3
1:7000
Rm 9.1 8.2 8.3 8.4

Base Map reproduced from Isle of Man Survey mapping, Licence Number GD000797
C: 11000
C1128
Crown Copyright. Department of Local Government and the Environment, Isle of Man.
Unauthorised reproduction Infringes Crown Copyright and may lead to prosecution or civil proceedings.
Produced using Uniform 7.3 Km 0.02 0.04 0.06
Proposal : Change of use of land from agricultural to residential garden
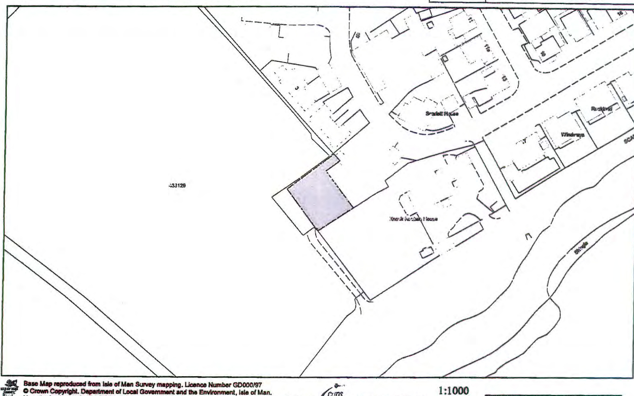
Site Address : Land To Rear Of 1 Knock Rushen Scarlett Road Castletown Isle Of Man
Applicant : Mr Alex & Mrs Jane Holt Application No. : 13/91006/C Case Officer : Miss Melissa McKnight
THIS APPLICATION IS REFERRED TO THE PLANNING COMMITTEE AS THE APPLICATION INVOLVES THE EXTENSION OF A RESIDENTIAL CURTILAGE
1.1 The application site is a part of Field 433129 that abuts the rear of Plot 1 Knock Rushen and is bounded on the south eastern side by a 2 – 3.5 metre high stone wall to Knock Rushen House.
1.2 The application site has an area of approximately 0.1 acres and forms part of a 10 acre field (Field 433129). The application site is currently used as a construction compound and has been since 2008.
1.3 The application site extends south west from Plot 1 in line with the end of the garden and garden wall of Knock Rushen House. The site then projects northwest by 21 metres, finishing opposite the existing north western boundary of the site. The application site demarcation then travels north east to complete a square shaped area.
1.4 The plot already steps out into the field by around 6m further than do the plots to the north.
2.1 This current planning application seeks approval for the change of use of land from agricultural to residential garden with the site levels generally remaining unaltered.
2.2 Due to the rock being so close to the surface, the application land was not farmed and was previously used as access to the now developed ‘Humpy Field’. The farmer also used this part of the field for rubbish and agricultural plant storage.
2.3 The land owner has considered the parcel of land forming the application site as unfarmable and the loss would have no impact on the farming of the remainder of the field.
3.1 The application site has been the subject of two previous planning applications that were granted planning permission and are considered relevant to the assessment of this current planning application given the level and nature of development:
PA 08/02140/R: Creation of a temporary site compound (comprising amendment to PA 08/00981R).
PA 08/00981/R: Creation of temporary site compound. 3.2 Plot 1 Knock Rushen has been the subject of a number of previous planning applications, four of which were granted planning approval and considered relevant to the assessment of this current planning application given the level and nature of development proposed:
PA 12/01351/B: Erection of a detached dwelling with detached garage (amendments to PA 12/00113/B).
PA 12/00113/B: Erection of a detached dwelling with detached garage (Amendments to 10/00600/B).
PA 11/01584/B: Erection of a dwelling with detached garage. PA 10/00600/B: Revised house position on previously approved plot.
4.1 In terms of local plan policy, the application site was designated for Proposed Residential under the Castletown Local Plan 1990. However, under the Area Plan for the South, which supersedes the Castletown Local Plan 1990, the application site is within an area of open space, not designated for any site specific development. 4.2 In terms of strategic plan policy, the Isle of Man Strategic Plan 2007 contains two policies that are considered specifically material to the assessment of this current planning application:
General Policy 3 states: "Development will not be permitted outside of those areas which are zoned for development on the appropriate Area Plan with the exception of: a) essential housing for agricultural workers who have to live close to their place of work (Housing Policies 7, 8, 9 and 10); b) conversion of redundant rural buildings which are of architectural, historical, or social value and interest (Housing Policy 11); c) previously developed land which contains a significant amount of buildings where the continued use is redundant; where redevelopment would reduce the impact of the current situation on the landscape or the wider environmental and where the development proposed would result in improvements to the landscape or wider environment; d) the replacement of existing rural dwellings (Housing Policies 12, 13 and 14) e) location-dependant development in connection with the working of minerals or the provision of necessary services; f) building and engineering operations which are essential for the conduct of agriculture or forestry; g) development recognised to be of overriding national need in land use planning terms and for which there is no reasonable and acceptable alternative; and h) buildings or works required for interpretation of the countryside, its wildlife or heritage."
Environment Policy 1 states: "The countryside and its ecology will be protected for its own sake. For the purposes of this policy, the countryside comprises all land which is outside the settlements defined in Appendix 3 at A.3.6 or which is not designated for future development on an Area Plan. Development which would adversely affect the countryside will not be permitted unless there is an over-riding national need in land use planning terms which outweighs the requirement to protect these areas and for which there is no reasonable and acceptable alternative."
5.0 REPRESENTATIONS 5.1 Castletown Town Commissioners have no objection to the current planning application. 5.2 A representation has been received from Castletown Heritage raising concerns with regards to a precedent being set and the application site is an integral part to the "spectacular natural environment" between the town and Scarlett. 5.3 A representation has been received from the owners of Knock Rushen House commenting that the proposal would set a precedent and the possibility of providing a rear access from Scarlett Road. 5.4 A representation has been received from the owner and/or occupier of 33 Ballaquark, Douglas which raises concerns regarding the setting of a precedent.
6.1 Given that the application site is designated as Open Space, the assessment should be have regard to the impact of residential intrusion into the countryside. 6.2 The extension of a residential curtilage into land which is not designated for development or residential use would be contrary to the designation of the land as open space and the protection of the countryside for its own sake as expressed in Environment Policy 1. It is therefore imperative that any development in the Island's countryside is appropriate in scale and design and would not detract from the character and quality of the countryside. 6.3 With regards to visual appearance, the site is partially visible from Scarlett Road if one was heading north east. However, what is visible is not considered to be of a scale that would cause harm to public amenity or interrupt the existing appearance of the locality. In addition, the application site as existing appears as a natural part of Plot 1 and therefore the use of the area as a garden would not be completely out of keeping and is considered to be acceptable. In order to restrict any development which would have an adverse impact within the proposed garden area that may increase the appearance of the site, should the application be approved it would be necessary to place a condition of the approval to suspend all Permitted Development rights, therefore ensuring that all future development is controlled by planning applications. 6.4 In addition, the proposed boundary treatment of post and wire fencing with natural vegetation to the inside of the fencing to match the existing boundary treatment of Field 433129 would help to preserve the appearance of natural countryside and would limit views of the extended curtilage. 6.5 As previously mentioned, the land owner has stated that this piece of land is unfarmable given the soil make up of the area. It is therefore deemed that the loss of this part of field would not be detrimental to the overall farming of Field 433129. 6.6 With regards to concerns of the setting of a precedent for the other properties abutting Field 433129 applying for extension of residential curtilages, it is not considered that an approval to this application would oblige the Department to approve further applications as these properties of Knock Rushen have a public footpath directly to the rear and are also separated from the field boundary by roads and footpaths. The footpaths that run to the rear of the neighbouring plots are not public and are not proposed to be made public. Garden extensions to the remaining properties could present an un-natural projection and intrusion into the countryside.
6.7 With regards to concerns raised regarding the use of the existing access off Scarlett Road, the proposed garden would be in line with the garden of Knock Rushen House and would have an established rear boundary. Therefore the use of this existing farm access would not be a viable access point to the rear of Plot 1 Knock Rushen. The existing access will remain as the farmers access only.
7.1 Whilst the proposed extension of the residential curtilage on DRAWING No 01 appears to be a fairly large form of expansion, a visit to the application site did confirm that the area proposed to become a garden would actually not be a prominent or a noticeable encroachment of development into the open countryside. As previously mentioned, the site already forms a natural garden area to Plot 1 given the existing boundary of Knock Rushen House and layout of the site. 7.2 In addition, the proposal is not to appear as a significant extension or intrusion into the countryside, given the roadside boundary treatment which would limit views. Furthermore, the curtilage extension proposed would not appear overly large for the property it would serve and therefore would not result in an obtrusive or harmful visual element in this part of the countryside. 7.3 Overall, it is concluded that the planning application is not at odds with General Policy 3 or Environmental Policy 1 of the Isle of Man Strategic Plan 2007.
8.1 It is recommended that the planning application be permitted.
9.1 The local authority, Castletown Commissioners, is by virtue of the Town and Country Planning (Development Procedure) (No. 2) Order 2013, paragraph 6 (4)(e), considered "interested persons" and as such should be afforded party status. 9.2 The Highway Authority is granted interested party status under the Town and Country Planning (Development Procedure) Order 2013 paragraph 6 (4) (d). 9.3 It is considered that the following parties that made representations to the planning application should be afforded interested party status:
The owner and/or occupier of Knock Rushen, immediate neighbour to the application site 8.4 It is considered that the following parties that made representations to the planning application should not be afforded interested party status:
Castletown Heritage The Owner and/or Occupier of 33 Ballaquark, Douglas
C 1. The development hereby permitted shall commence before the expiration of four years from the date of this notice.
C 2. The development hereby permitted shall not be carried out except in full accordance with DRAWING No 001 received on 23rd August 2013.
C 3. Notwithstanding the provisions of the Town and Country Planning (Permitted Development) Order 2012 (or any Order revoking or re-enacting that Order) no extensions, greenhouses, polytunnels, walls, gates, fences, garden sheds, summerhouses, decking, garages, car ports, flag poles or tanks for the storage of oil or gas for domestic heating shall be erected nor ground mounted solar panels or ground or water source heat installations replaced or installed (other than those expressly authorised by this approval).
C 4. All planting, seeding or turfing comprised in the approved details of landscaping must be carried out in the first planting and seeding seasons following the completion of the development or the occupation of the dwellings, whichever is the sooner. Any trees or plants which within a period of five years from the completion of the development die, are removed, or become seriously damaged or diseased must be replaced in the next planting season with others of a similar size and species.
Copyright in submitted documents remains with their authors. Request removal